枚方市香里ケ丘に新築一戸建て(3号地/人気の工務店の注文住宅)
- 土地価格: 3,250万円
- 建物価格: 1,799万円
- 所在地: 枚方市香里ケ丘1丁目
- 最寄り駅:京阪本線枚方市駅 徒歩40分
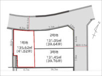
- 土地面積: 131.45㎡
- 建物面積: 99.18㎡
物件詳細をみる
ESTATE BROKERY
Copyright SHOKEN HIRAKATA Co.,Ltd. All Rights Reserved.
検索結果 6 件
ローンシミュレーター
| 物件価格 | 万円 |
|---|---|
| 金利(年) | |
| 自己資金 | 万円 |
| ボーナス一回当たり加算額 |
| 返済期間 | 毎月返済額 | 年間返済合計 |
|---|---|---|
| 15年 | ||
| 20年 | ||
| 25年 | ||
| 30年 | ||
| 35年 | ||
| 40年 |
※ご注意
ローン返済試算表は、あくまで試算であり将来の金利動向やご契約条件により実際のご返済額とは異なる場合があります。
また各種値は融資の予約や審査などをお約束するものではありません。